- 22 ก.ย. 2568
พยากรณ์อากาศ 7 วันข้างหน้า พายุไต้ฝุ่น รากาซา (RAGASA) เตรียมเคลื่อนตัวขึ้นฝั่งบริเวณประเทศเวียดนามตอนบน ไทยตอนบนเฝ้าระวังฝนตกหนักบางแห่ง
กรมอุตุนิยมวิทยา ประกาศเตือนฝนตกหนักในประเทศไทย พร้อมพยากรณ์อากาศวันนี้ 24 ชั่วโมงข้างหน้า ประจำวันที่ 22 ก.ย. 68โดยประเทศไทยตอนบนมีฝนตกหนักบางแห่ง โดยเฉพาะบริเวณจังหวัด "แม่ฮ่องสอน ตาก บึงกาฬ อำนาจเจริญ" และ"อุบลราชธานี" ขอให้ประชาชนในบริเวณดังกล่าวระวังอันตรายจากฝนตกหนักและฝนที่ตกสะสม เนื่องจากร่องมรสุมพาดผ่านภาคเหนือ และภาคตะวันออกเฉียงเหนือตอนบน ประกอบกับมรสุมตะวันตกเฉียงใต้ที่พัดปกคลุมทะเลอันดามัน ประเทศไทย และอ่าวไทยมีกำลังปานกลาง
สำหรับบริเวณทะเลอันดามันตอนบนมีคลื่นสูงประมาณ 2 เมตร ส่วนทะเลอันดามันตอนล่างและอ่าวไทยตอนบนมีคลื่นสูง 1-2 เมตร บริเวณที่มีฝนฟ้าคะนองคลื่นสูงมากกว่า 2 เมตร ขอให้ชาวเรือเดินเรือด้วยความระมัดระวังและหลีกเลี่ยงการเดินเรือในบริเวณที่มีฝนฟ้าคะนอง
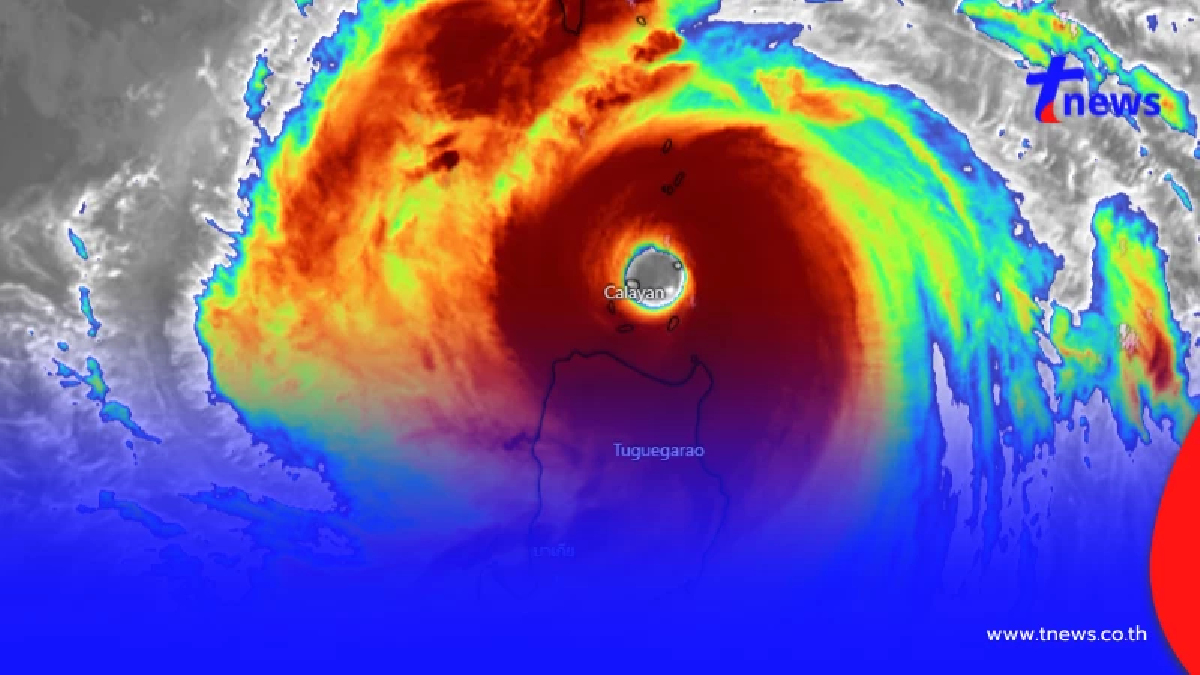
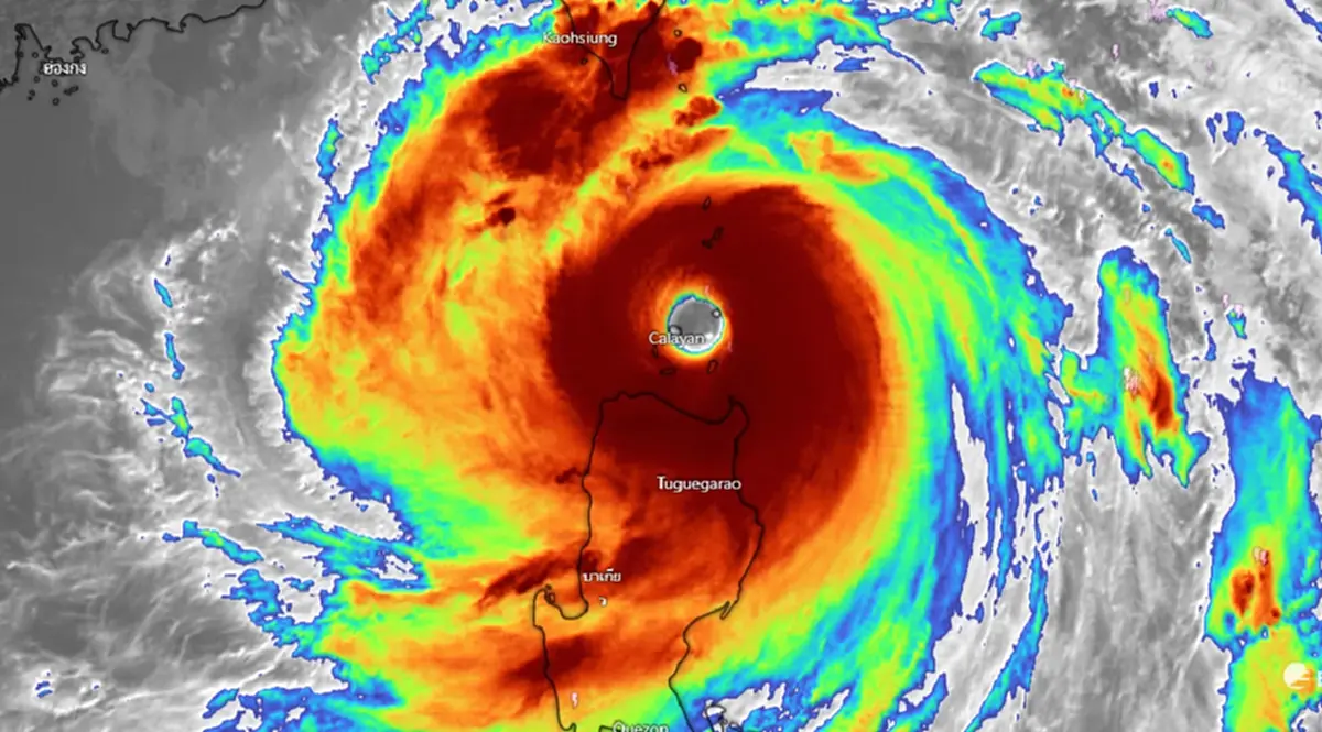
- พายุไต้ฝุ่น “รากาซา” (RAGASA)
พายุไต้ฝุ่น “รากาซา” (RAGASA) บริเวณด้านตะวันออกของประเทศฟิลิปปินส์ มีแนวโน้มจะเคลื่อนลงสู่ทะเลจีนใต้ในวันนี้ (22 ก.ย. 68) คาดว่า ในช่วงวันที่ 25 – 26 ก.ย. 68 จะเคลื่อนตัวลงสู่อ่าวตังเกี๋ยและขึ้นฝั่งบริเวณประเทศเวียดนามตอนบน หลังจากนั้นจะอ่อนกำลังตามลำดับ อิทธิพลของพายุนี้จะทำให้ร่องมรสุมและมรสุมที่พัดปกคลุมประเทศไทยมีกำลังแรงขึ้นในช่วงดังกล่าว
- พยากรณ์อากาศ 7 วันข้างหน้า
ในช่วงวันที่ 22 – 25 ก.ย. บริเวณภาคตะวันออกเฉียงเหนือ และภาคตะวันออกมีฝนตกหนักถึงหนักมากบางแห่ง เนื่องจากร่องมรสุมพาดผ่านภาคเหนือ และภาคตะวันออกเฉียงเหนือตอนบน ประกอบกับมรสุมตะวันตกเฉียงใต้ที่ปกคลุมทะเลอันดามัน ประเทศไทย และอ่าวไทยจะมีกำลังแรงขึ้น
ส่วนในช่วงวันที่ 26 – 28 ก.ย. ประเทศไทยยังคงมีฝนตกต่อเนื่อง และมีฝนตกหนักบางแห่ง โดยมีฝนตกหนักมากบริเวณภาคตะวันออกเฉียงเหนือ ภาคกลาง และภาคตะวันออก
เนื่องจากร่องมรสุมจะเลื่อนลงมาพาดผ่านภาคเหนือตอนล่าง ภาคกลาง และภาคตะวันออกเฉียงเหนือ ประกอบกับมรสุมตะวันตกเฉียงใต้ที่ปกคลุมทะเลอันดามัน ประเทศไทย และอ่าวไทยจะมีกำลังอ่อนลงเป็นกำลังปานกลาง
ในช่วงวันที่ 22 - 23 ก.ย. และ 26 - 28 ก.ย. คลื่นลมบริเวณทะเลอันดามันและอ่าวไทยมีกำลังปานกลาง โดยทะเลอันดามันตอนบนมีคลื่นสูงประมาณ 2 เมตร ส่วนทะเลอันดามันตอนล่างและอ่าวไทยตอนบนมีคลื่นสูง 1 - 2 เมตร บริเวณที่มีฝนฟ้าคะนองคลื่นสูงมากกว่า 2 เมตร
ส่วนในช่วงวันที่ 24 – 25 ก.ย. คลื่นลมบริเวณทะเลอันดามันตอนบนมีกำลังค่อนข้างแรง โดยมีคลื่นสูง 2 - 3 เมตร บริเวณที่มีฝนฟ้าคะนองคลื่นสูงมากกว่า 3 เมตร ส่วนทะเลอันดามันตอนล่างและอ่าวไทยตอนบนมีคลื่นสูงประมาณ 2 เมตร บริเวณที่มีฝนฟ้าคะนองคลื่นสูงมากกว่า 2 เมตร
ขอให้ประชาชนบริเวณประเทศไทยตอนบนระวังอันตรายจากฝนตกหนักถึงหนักมาก และฝนที่ตกสะสม ซึ่งอาจทำให้เกิดน้ำท่วมฉับพลันและน้ำป่าไหลหลาก โดยเฉพาะพื้นที่ลาดเชิงเขาใกล้ทางน้ำไหลผ่านและพื้นที่ลุ่มไว้ด้วย ขอให้ชาวเรือเดินเรือด้วยความระมัดระวังและหลีกเลี่ยงการเดินเรือในบริเวณที่มีฝนฟ้าคะนอง ตลอดช่วง
ส่วนเรือเล็กบริเวณทะเลอันดามันตอนบนควรงดออกจากฝั่งในช่วงวันที่ 24 – 25 ก.ย.
สถานการณ์แผ่นดินไหว(ช่วงวันที่ 21 - 22 ก.ย. 68): ตรวจพบเหตุการณ์แผ่นดินไหว
ขนาด 3.1 มีศูนย์กลางอยู่ที่ประเทศเมียนมา ไม่มีผลกระทบต่อประเทศไทยแต่อย่างใด






