- 22 ก.ย. 2568
พายุไต้ฝุ่น “รากาซา”เคลื่อนที่ลงทะเลจีนใต้ตอนบนแล้ว กรมอุตุฯเตือนหลายพื้นที่ของไทย มีฝนตกหนักถึงหนักมาก 23–26 ก.ย. 68
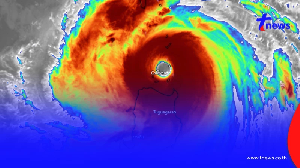
ประกาศกรมอุตุนิยมวิทยาเรื่อง พายุ “รากาซา”และฝนตกหนักถึงหนักมากบริเวณประเทศไทยฉบับที่ 2 (250/2568) เมื่อเวลา 22.00 น. ของวันที่ 22 ก.ย. 68 พายุไต้ฝุ่น “รากาซา” ทางตอนบนของเกาะลูซอน ประเทศฟิลิปปินส์ได้เคลื่อนที่ลงทะเลจีนใต้ตอนบนแล้ว โดยมีศูนย์กลางอยู่ที่ละติจูด 19.5 องศาเหนือ ลองจิจูด 119.9 องศาตะวันออก ความเร็วลมสูงสุดใกล้ศูนย์กลางประมาณ 205 กิโลเมตรต่อชั่วโมง
พายุนี้กำลังเคลื่อนตัวทางทิศตะวันตก ด้วยความเร็วประมาณ 20 กิโลเมตรต่อชั่วโมง คาดว่าจะเคลื่อนเข้าใกล้เกาะฮ่องกง และเคลื่อนผ่านแนวชายฝั่งทางตอนใต้ของประเทศจีน ผ่านเกาะไหหลำเข้าสู่อ่าวตังเกี๋ยในวันที่ 25 ก.ย. 68
และจะอ่อนกำลังลงเป็นพายุโซนร้อนก่อนเคลื่อนขึ้นฝั่งประเทศเวียดนามตอนบน จากนั้นมีแนวโน้มจะอ่อนกำลังลงอย่างรวดเร็ว เนื่องจากมีมวลอากาศเย็นจากประเทศจีนแผ่เสริมลงมาปกคลุม ในช่วงวันที่ 25–26 ก.ย. 68
จากอิทธิพลของพายุ “รากาซา” ส่งผลให้ร่องมรสุมที่พาดผ่านภาคเหนือและภาคตะวันออกเฉียงเหนือตอนบน รวมถึงมรสุมตะวันตกเฉียงใต้ที่พัดปกคลุมทะเลอันดามัน ประเทศไทย และอ่าวไทยมีกำลังแรงขึ้นในช่วงวันที่ 23–26 ก.ย. 68
- เส้นทางพายุ รากาซา
ทำให้บริเวณภาคเหนือ ภาคตะวันออกเฉียงเหนือ ภาคกลาง ภาคตะวันออก รวมทั้งกรุงเทพมหานครและปริมณฑลมีฝนเพิ่มมากขึ้นและมีฝนตกหนักถึงหนักมากหลายพื้นที่ ขอให้ประชาชนในบริเวณดังกล่าวระวังอันตรายจากฝนตกหนักถึงหนักมากและฝนที่ตกสะสม ซึ่งอาจทำให้เกิดน้ำท่วมฉับพลัน น้ำป่าไหลหลาก และน้ำล้นตลิ่ง
โดยเฉพาะพื้นที่ลาดเชิงเขาใกล้ทางน้ำไหลผ่าน พื้นที่ลุ่ม และพื้นที่น้ำท่วมขัง สำหรับคลื่นลมบริเวณทะเลอันดามันและอ่าวไทยตอนบนมีกำลังแรงขึ้น โดยมีคลื่นสูง 2-3 เมตร บริเวณที่มีฝนฟ้าคะนองคลื่นสูงมากกว่า 3 เมตร ขอให้ชาวเรือเดินเรือด้วยความระมัดระวัง และเรือเล็กบริเวณทะเลอันดามันตอนบนควรงดออกจากฝั่งในช่วงวันที่ 24–26 ก.ย. 68






